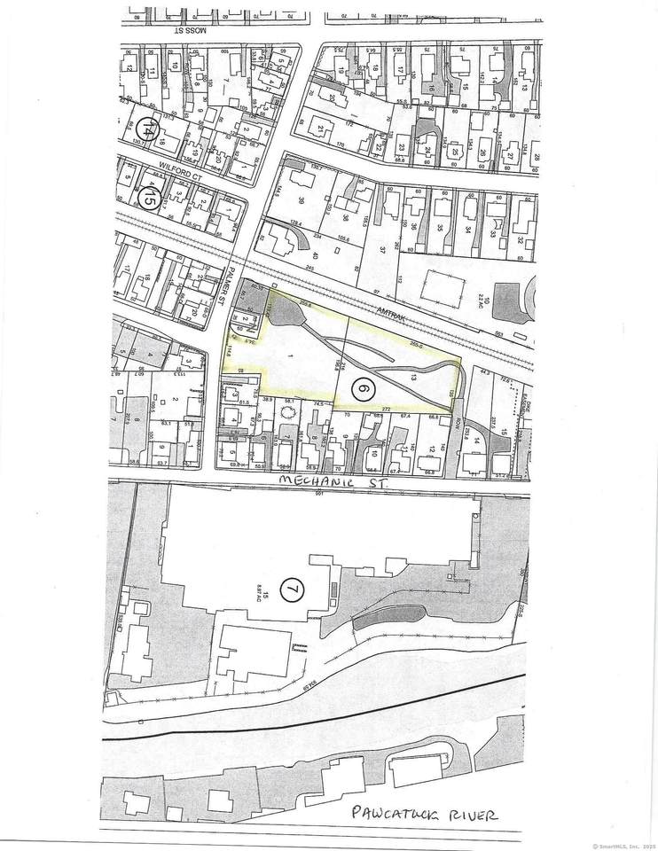
Description
ATTENTION DEVELOPERS! Mixed use/residential 2 acre parcel in the high density PV-5 development zone. Perfect multi unit housing site!. Level, cleared, city water, sewer, gas available. Property is across from the Pawcatuck River within easy walking distance to downtown Pawcatuck and Westerly, RI. Adjacent to existing multi family units and a restaurant. This parcel being sold with adjoining 1.08 acre lot 65 Mechanic St, MLS#24068467
-
0BEDS
-
1.14ACRES
-
0BATHS
-
01/2 BATHS
Description
ATTENTION DEVELOPERS! Mixed use/residential 2 acre parcel in the high density PV-5 development zone. Perfect multi unit housing site!. Level, cleared, city water, sewer, gas available. Property is across from the Pawcatuck River within easy walking distance to downtown Pawcatuck and Westerly, RI. Adjacent to existing multi family units and a restaurant. This parcel being sold with adjoining 1.08 acre lot 65 Mechanic St, MLS#24068467
Related Properties
The data relating to real estate for sale on this website appears in part through the SMARTMLS Internet Data Exchange program, a voluntary cooperative exchange of property listing data between licensed real estate brokerage firms, and is provided by SMARTMLS through a licensing agreement. Listing information is from various brokers who participate in the SMARTMLS IDX program and not all listings may be visible on the site. The property information being provided on or through the website is for the personal, non-commercial use of consumers and such information may not be used for any purpose other than to identify prospective properties consumers may be interested in purchasing. Some properties which appear for sale on the website may no longer be available because they are for instance, under contract, sold or are no longer being offered for sale. Property information displayed is deemed reliable but is not guaranteed. Copyright 2026 SmartMLS, Inc. Data last updated: 2026-04-11T00:10:23.593.
